農村裡長大的孩子也許能認識不少常見的中草藥,大人常常會告訴小孩一些草藥是幹什麼用的。我記得小時候還有人收購呢,我們採來還可以拿去賣錢的哦。】
接上一篇
七、黃梔
黃梔又叫梔子,黃梔子,山梔子,以前基本上都是野生的,現在有專門人工種植的,具有一定的觀賞性。成熟的果實能提取出黃色素,作為染料或食品新增色素,安全無毒。我國部分地區有個習俗,就是拿梔子放剛出生的嬰兒身上用來退黃疸。
功效作用:用於熱病心煩,溼熱黃疸,淋證澀痛,血熱吐衄,目赤腫痛,火毒瘡瘍,外治扭挫傷痛。
八、玉米鬚
玉米,最熟悉了,相信絕大部分人都吃過,美味可口,全國各地都有種植,產量很大。我們剝玉米的時候就看到了果實上長著長長的須,像鬍子,像粉幹。生的和曬乾的都可以入藥,有利尿消腫;清肝利膽的功效。主要用於治療水腫,小便淋瀝,黃疸,膽囊炎,膽結石,高血壓,糖尿病,乳汁不通。
九、百合
百合,主要是採收靠根莖處肉質鱗葉的部位,市場上有賣,可以用來煮粥吃,也可以作為蔬菜食用,是很好的食藥兩用品種。百合花相當漂亮,有多種花色,具有較高觀賞性,有的花店有賣。
百合功效:具有養陰潤肺,清心安神之功效。常用於陰虛燥咳,勞嗽咳血,虛煩驚悸,失眠多夢,精神恍惚。
十、決明子
決明子生於山坡、路邊和曠野等處,豆科類植物,秋季採收成熟的種子。因種子小小的、硬硬的很適合做枕頭填充物,故好多農村人或小商販就拿這個乾燥的種子來做枕頭填充物,腦袋躺靠上去像靠在沙子上一樣軟軟的很是舒服,所以很受大家的歡迎。現在許多養生保健人士喜歡拿來和菊花一起泡當茶喝,用來清肝明目。
功效:用於目赤澀痛,羞明多淚,頭痛眩暈,目暗不明,大便秘結。
十一、靈芝
靈芝,這味中藥材在大家的傳統認知裡它是很難得的,很名貴功效很強大的。目前人工培植的很多,所以市面上賣的大部分是人工種植的,野生的比例少了。
電視裡經常提起一個詞叫“千年靈芝”,也不是說靈芝真活了千年,因在古代沒有人工種植,只能說是形容其珍貴稀少罷了。現在養生人士通常拿來泡茶喝,安神挺好的。
功效:1、心神不寧,失眠,驚悸。2、咳喘痰多。3、治虛勞短氣、不思飲食、手足逆冷、或煩躁口乾等症。
十二、覆盆子
覆盆子又叫樹莓,這味中藥是個好東西,成熟的時候,小孩子可喜歡吃了,山上長得還挺多的,就是採收時間太短了。如果果實拿來泡酒,就挑選半熟的那種曬乾比較合適;如果當水果吃就選擇成熟的採摘,酸酸甜甜的很好吃。現在有大量種植改良的品種,果實大而甜,當水果銷售,價格昂貴。
主治:用於遺精滑精,遺尿尿頻,陽痿早洩,目暗昏花。
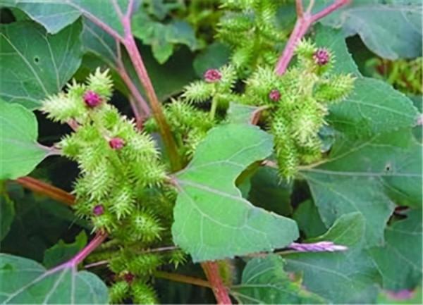
十三、蒼耳子
蒼耳子主要生長於平原、丘陵、低山、荒野路邊、田邊,大部分農村人很討厭的一味中草藥,為什麼這麼說呢,因為它的成熟種子外殼帶軟刺,老是粘在行人的衣褲上,而且很牢固,需要用手一個個給扯下來,浪費人們的精力;種子還具有毒性,感覺就是一個只會“添亂”雜草。不過好在它在中醫裡可是一味治療鼻炎的常用藥,功能還很多個呢。
主治:用於風寒感冒,鼻淵,風溼痺痛,風疹瘙癢等證。
未完待續…… 新增關注,後續更新
